• While Stormtrack has discontinued its hosting of SpotterNetwork support on the forums, keep in mind that support for SpotterNetwork issues is available by emailing [email protected].

Dissecting the Bowdle Mesocyclone

Hey Jeremy, nice diagram there!

One thing I noticed off your latest one is you have mislabeled the beaver tail/tail cloud features.

The tail cloud is generally the point of the wall cloud that is facing toward the precipitation. The beaver tail is what you had labeled as the tail cloud. The tail cloud that you labeled appears to be mid-level inflow tails streaming into the mesocyclone.
 
Since we're talking structure, here's something a little quirky for you. Prior to the first tornado, the Bowdle supercell produced a good, stout beavertail. For a while, multiple tendrils of condensation on the bottom of the beavertail give it a feathery appearance--cool-looking but nothing strange.

After a while, though, I noticed a tendril that seemed different from the rest--isolated, stouter, better-organized. I couldn't verify rotation, but I believe it was a shear funnel pendant from the beavertail.

I can't get the image to insert, so check out the link below. What do y'all think? Has anyone else seen such a thing?

http://www.stormtrack.org/forum/album.php?albumid=116&pictureid=732
 
Last edited by a moderator:
Hey Bob, that looks like this feature:
10052214.jpg


Looking northwest from 83 and 20 at about 5:30.

The feature appeared to be more of an inflow tail on the wall cloud/rfb. It beefed up over the next minute or so as the rest of the base lowered to the left of it.
 
1005229.jpg

I may gotten this feature as well. Amazing to see the different perspectives of the same or similar features from everybody.

10052214.jpg

It was fascinating to watch the evolution of the wall cloud. It went from a flat RFB to a clump of scud that formed below the RFB before it attached. To the picture above. The whole storm had a slow broad rotation to it. The updraft base just started inhaling scud. Little scud funnels would develop every few seconds and get inhaled into the cloud base, until the wall cloud eventually reached its mature state. I will try to have a time lapse of this in the next few days.
 
Skip and Danny: Nope, the feature I'm talking about was different. If you look at the photo, you'll see there's no vertical development overhead, just the top of a laminar inflow band. That's what struck me about the "funnel"--it wasn't associated with an updraft base or a developing wall cloud. It was located about midway down the beavertail, not in the area where the tail merged with the mesocyclone and you could conceivably have an updraft.

To give you a better context, here's a zoomed-out shot of the parent cloud feature, taken about two minutes prior. You can see it's clearly a beavertail, with the kind of feathered underside I mentioned in the previous post.

(Why the heck can I not simply insert my photo?!!!)

http://www.stormtrack.org/forum/album.php?albumid=116&pictureid=733
 
Last edited by a moderator:
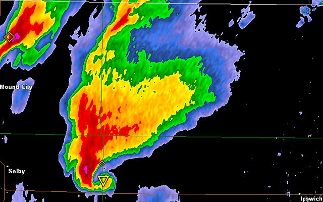
Good day all,

I captured the following from GRLevel2 Analyst based on the data set for Aberdeen's radar site while the Bowdle tornado was going on (late in the day on May 22, 2010). This leaves a true "dissection" of the supercell...

bdlgra1.jpg


Above: 2D Reflectivity image of the supercell storm as it was nearing Bowdle, SD and north of there. The white line at the bottom of the image is Highway 14, and the tornado (a violent wedge at this point) is just to the north of there crossing Highway 47.

bdlgra2.jpg


Above: 2D Velocity image of the supercell storm at the same time as the reflectivity image above (the violent tornado was just north of Bowdle, SD at the time). The tornado is just north of Highway 12 and crossing 47 at this time.

bdlgra3.jpg


Above: 3D Reflectivity iso-surface of the storm, just when the tornado was in it's "wedge" phase. The actual tornado would be just north of the "O" in the word "SOUTH" in the above graphic.

bdlgra4.jpg


Above: An absolutely incredible BWER (Bounded Weak Echo Region) and overhang when looking SW in 3D Reflectivity using the 55 DBz and higher (red) iso-surface. The BWER alone extends to over 20,000 feet (6.5KM+)!

bdlgra5.jpg


Above: Distinct "vortex hole" looking down through the supercell top and into the BWER on the 3D Reflectivity based on the iso-surfaces (mainly the 50 DBz and higher). The "vortex hole" was also visible back in 2007 with the Greensburg supercell using similar analysis.

bdlgra6.jpg


Above: A bit later on, the 3D Reflectivity shows a massive hail core and precipitation (65 DBz and higher)! This was the later stages of the same supercell, now HP, and north of Ipswitch, SD.
 
Bob, do you have a timestamp and location for that image? I think if its not the same feature, its a very similar one. I contrast enhanced and labeled your image trying to shed some light on what's going on here and did the same with my image:

100522hartig01.jpg

100522talbot01.jpg

100522hartig02.jpg

100522talbot02.jpg


Both shots share many similar characteristics. The shape of the feature makes me think of rain cooled air from the forward flanking downdraft tracing the shape of the rear flanking downdraft boundary as its forced over the top of it. I think there may actually be an updraft base there and the beaver tail is in front it.
 
Last edited by a moderator:
Skip, the time stamp is 6:45, which would be 5:45 Central Time.

Thanks for your meticulous analysis. Your graphic makes great sense, but I just don't think it's the same feature. Yours definitely looks like it was attached to an updraft base, part of a lowering underneath where the beavertail attaches to the meso. And Danny's photos appear to give a different perspective on the feature you saw. It arches downward to the right similar to the funnel(s) in my photo, but it's what's going on above that makes me think we're talking about two different items. The thing I saw was at least midway, maybe two thirds of the way, toward the right side of the beavertail. You see that tag of cloud on the left side of my second photo of the beavertail? I wonder if that's not the beginnings of the formation you saw. What I saw would have been well to the right of it.

The location of the funnel was what prompted me to photograph it in the first place. I remember doing a double-take and thinking, "WTF?" It just seemed so weird, and I never for a second thought it would become tornadic because of its position relative to the storm structure. It was strictly a beavertail feature.

For the sake of being thorough, here's yet another shot of the beavertail, taken two minutes before the funnel: http://www.stormtrack.org/forum/album.php?albumid=116&pictureid=734

Of course, now I'm second-guessing myself. After all, it's been seven months. Did I observe accurately? Am I remembering accurately? Ah, heck. Don't hate me because I'm an obstinate cuss. (Hate me because I'm a dork. :rolleyes:)
 
Last edited by a moderator:
Your timestamp helped me pinpoint it, Bob. I believe this is it, on the far right side of the image:

100522tail01.jpg


Midway down the beavertail at 5:45 CDT

I didn't even really notice that at the time I think. I pulled that off of my video and was focusing more on the updraft base to the left. Here's another labeled image:
100522tail02.jpg


I'd still guess that's an inflow tail being forced up as the RFD plows through the rain cooled air of the FFD. There are some similar feature to the left of it. Given the ridiculous properties of that storm though, I don't doubt there was all kinds of weird stuff rotating and funnels appearing in places they normally don't. With the amount of vorticity present, there were areas up and down that base that were rotating.

Good catch. I love going back and examining the little stuff.
 
That's it! Those other inflow tails to the left do look similar in the photograph, and there were any number of them that feathered into the beavertail; but in the field, this particular feature caught my attention because it looked like an actual vortex rather than just a strand of condensation.

Your updated diagram clicks into place for me, and now I can align with your analysis of the interaction of the RFD with the FFD. I've thought of the feature as a shear funnel, which is saying the same thing. Nothing dramatic, just unusual, but it's those little details that can add a lot of interest.
 
I redid my radar/gps track animation with level 2 data and thought I'd bump this thread to share it with you guys:



I love that eye in the hook you can see at 1:38.
 
Great shot, Jeremy. I love seeing structure shots of that storm as I was too close to the storm until after the Bowdle wedge.

In order to maintain position on the storm and because of the road network, I was forced to drive under the RFB and was under the RFD clear slot at the time you shot that picture. Panning my video camera, here are some labeled grabs of the storm from my perspective at the time:

RFB = Rain Free Base
RFD = Rear Flanking Downdraft
FFD = Forward Flanking Downdraft

Image2.jpg

Image3.jpg

Image4.jpg

Image5.jpg

Image6.jpg

Image7.jpg

label2.jpg

label3.jpg

label4.jpg

label5.jpg

label6.jpg

label7.jpg



The first shot was a couple minutes before your photo, and the last one was a few minutes after your photo. You can recognize that band of clouds in the second shot as the feature you've labeled a tail cloud. I believe this was more of a roll cloud feature though. Its interesting though that this feature actually formed behind the RFD clear slot I was driving under. There must have been another downdraft behind the one I was under that was kicking up those clouds. If you follow the arrows, I believe, like most rolls clouds, a combination of the FFD and inflow was being forced over the RFD on the back edge of the storm and creating those clouds. They look more like a conventional shelf cloud in the next shot, but the northern tip of appears to be an inflow feature.

The lowering on the first shot is probably a similar feature that possibly spawned the tornado that Chris identified in his video from several minutes later. This lowering was actually behind the RFD and wall cloud/circulations that produced the first tornadoes that many saw, and may have been the remnants of the first cycles of the storm that pushed north into the storm's forward flank. The feature was definitely inflow based, although I wouldn't say it was a funnel or tornado at the time that I shot it, probably more of a wall cloud type feature at that point sucking in the rain cooled air from the forward flank to the north.

The little curlie-cue in the first shot is something I noticed in my video, and have seen it a few times on the back end of wall clouds, probably where the inflow and RFD are interacting to create a little eddy.

Here's GPS and radar at the time of the above shots:
cap437.jpg

In the pic with the radar screenshot, is that GRLv3 or is it something else?
 
Back
Top